Das Pfarrhaus von Junglinster – Die Fakten

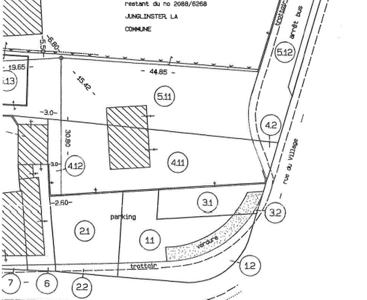
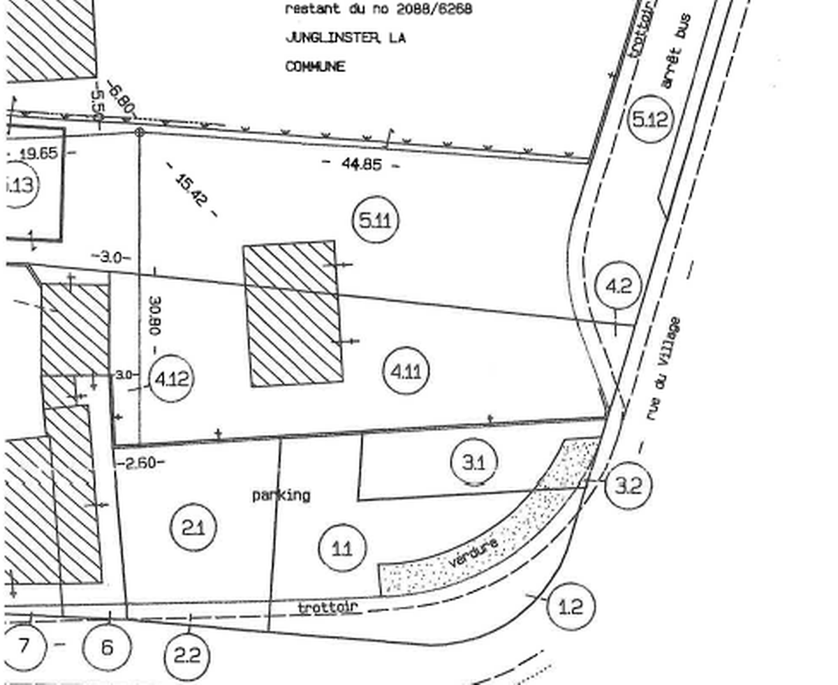
In der Gemeinderratsitzung vom 12 Mai 2017 beschäftigten sich die Räte ein zweites Mal mit dem Kauf des Pfarrhauses. Aus den vorliegenden Unterlagen ging hervor, dass die Gemeinde im Jahr 1957 auf zwei Parzellen 4.11, eingetragen im Kadaster auf „JUNGLINSTER, LE PRESBYTERE“, sowie 5.11, eingetragen auf „JUNGLINSTER, LA COMMUNE“, neben dem damaligen Pfarrhaus ein neues Pfarrhaus erbaut hat. Im Jahr 1973 erklärt die Kirchenfabrik dass das Pfarrhaus mit dem ganzen Bering der Gemeinde als Eigentümer gehört, sowie es auch aus dem Dekret von 1809 ervor geht dass die Gemeinde dem Pfarrer ein Presbytère zur Verfügung stellen muss.

Im Jahre 1999 allerdings tauscht die Gemeinde mit der Kirchenfabrik die Parzelle 5.11 mit einem Teil des Pfarrhauses gegen andere Parzellen welche links vom heutigen Pfarrhaus liegen und 1973 als Eigentum der Gemeinde angesehen wurden. Dieser Tausch wurde dann auch beim Notar in Junglinster per Akt festgehalten. Im Kadaster steht seitdem sowohl Parzelle 5.11 aber auch Parzelle 4.11 als eine grosse Parzelle (2088/8026, JB de Junglinster) auf den Namen „Fabrique d’église“. Parzelle 4.11 wurde aber nicht im Akt von 1999 erwähnt und müsste somit noch immer als eigene Parzelle im Kadaster stehen und das auf den Namen „Presbytère“.


Folgende Fragen tun sich nun auf:

- Warum tauschte die Gemeinde mit der Kirchenfabrik im Jahr 1999 <Grundstücke, welche 1973 noch als Gemeindeeigentum angesehen wurden?

- Warum wurde die Parzelle 4.11 umgeschrieben auf den Namen der Kirchenfrabrik und mit der Parzelle 5.11 zusammen gelegt?

- Wie kommt es dass die Gemeinde das Haus im Jahr 1957 erbaut und seitdem unterhält (sowie es das Dekret von 1809 vorsieht), im Jahr 1973 von der Kirchenfabrik als Eigentum der Gemeinde angesehen wurde und dann im Jahr 1999 als Eigentum der Kirchenfabrik angesehen wird?



déi gréng Jonglënster